Лучшие цветущие однолетние лианы для сада. Воспользуйтесь однолетними вьющимися растениями для дачи
- Лучшие цветущие однолетние лианы для сада. Воспользуйтесь однолетними вьющимися растениями для дачи
- Быстрорастущие вьющиеся однолетники. Общие рекомендации желающим украсить забор, строения, участок.
- Многолетние лианы. Добавление статьи в новую подборку
- Красивоцветущие лианы. 10 цветущих лиан для сада
- Быстрорастущие лианы для беседки. Девичий виноград
- Лучшие однолетники. Лучшие однолетние цветы — неприхотливо односезонные цветы украшают ваш сад весь теплый сезон
Лучшие цветущие однолетние лианы для сада. Воспользуйтесь однолетними вьющимися растениями для дачи

Красиво оформленный дачный или земельный участок является гордостью каждого любителя фитодизайна. Хорошо посадить помимо многолетних вьющихся растений у беседок, вьющиеся однолетние растения. В статье представлено много названий вьющихся однолетних растений.

Они также красиво могут обвить арку или перголу, как и многолетние вьющиеся растения. Посмотрите, как замечательно смотрятся гиацинтовые бобы или долихос.

Это травянистая лиана, вырастающая за лето до 4-5 метров. Лучше посадить долихос рассадой. Так быстрей начнёт эта лиана оплетать опору, возле которой её посадить. Если осенью соберёте семена, то и на следующий год можно будет красоваться этим красивым однолетним вьющимся растением для сада.

Многие любители дачных участков сажают вот такое вьющее однолетнее растение название, которого чина душистая, или душистый горошек. В высоту имея опору это однолетнее растение может подняться до 3 метров. А как оно украсит трельяж или беседку своими яркими цветами!

Тунбергия крылатая удивит разнообразием расцветок! Она может быть и розовая, и голубая и жёлтая, выбирайте тот цвет, который вам по душе. Имея опору эта лиана замечательно будет обвивать её.

Возможно, не все знают, что лечебное однолетнее растение момордика замечательно подойдёт для оздоровления и создания красиво обвитого трельяжа. Имея такие необычные плоды ярко оранжевого цвета, она украсит своими листьями любую пору.

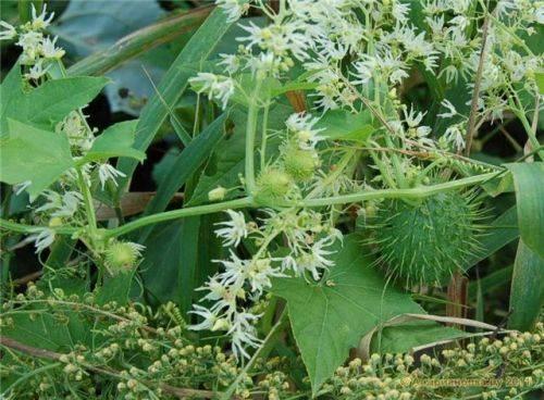
Быстро растущая лиана – однолетнее вьющееся растение бешеный огурец или эхиноцистис имеет не только плоды слегка напоминающее огурец, но и мелкие белые цветы, образующие соцветия., издающие приятный запах. Растёт это растение очень быстро.
Быстрорастущие вьющиеся однолетники. Общие рекомендации желающим украсить забор, строения, участок.
Захотели побыть в качестве ландшафтного дизайнера, смело беритесь за дело. Ничего сложного и невыполнимого в процессе нет. Главное – иметь желание и придерживаться небольших правил.

Планировку высадки вьющихся растений необходимо с ознакомления с диапазоном их цветения. Очень красиво будет смотреться изгородь, если одни сорта отцветают, а на смену им приходят цветущие другие виды. С ранней весны и до поздней осени вам обеспечено яркое разнообразное окружение цветов.
Кстати, если советую ребят, которые отлично делают ремонт – они помогут с отделкой дома . Переходите!

Сажать кусты довольно близко от стен строений не рекомендуется. Корневая система растений должна иметь определенное количество почвы для укрепления. Для этого достаточно 20-25 см от места посадки до опоры.

Также следует обратить внимание на промежуток между саженцами. Не думайте, что посадив густо растения, вы сразу же получите желаемый результат – зеленую сплошную изгородь.

Расстояние между корнями выдержите в 1,5-2 метра. В этом случае лоза, листья и цветы получат достаточно света, питательных веществ, влаги. В итоге – непревзойденный вид заплетенного ограждения.

Каждое конкретное растение требует индивидуальных подкормок. Поэтому, перед посадкой внесите в лунку нужное удобрение.

Обратите внимание на место посадки вьющихся растений. Не стоит их размещать слишком близко от водосточных труб, электропроводов или громоотводов. Так вы сможете избежать повреждений коммуникаций вьюнами.

Эти рекомендации помогут вам в облагораживании участка. Познакомимся с каждым видом в отдельности.

Многолетние лианы. Добавление статьи в новую подборку
Мы составили список популярных среди цветоводов многолетних лиан, которые можно выращивать на солнечных и слегка затененных участках. Берите на заметку!
В этом списке – 7 фантастически красивых вьющихся растений, которыми можно заполнить хорошо освещенные уголки сада. Готовы поспорить – ни одна из этих лиан вас не разочарует.
Жимолость каприфоль
Эта душистая, эффектная лиана любит солнце, но может достойно переносить и полутень. Своих максимальных размеров она достигает через 5-6 лет жизни.
Жимолость каприфоль непривередлива к кислотности почвы, но предпочитает участки с плодородным, хорошо дренированным грунтом. Лиана выдерживает заморозки до –25°C. Размножается черенками, семенами и отводками.
Жимолость каприфоль – одна из самых традиционных лиан для пергол и беседок. Во время цветения она привлекает огромное количество бабочек и пчел и наполняет сад приятным ароматом.
Жимолость татарская
Татарская жимолость родом из суровых северных регионов, и это объясняет ее неприхотливость и "живучесть". Ей ни по чем морозы, недостаток солнечного света, засухи и даже засоление почвы.
Покрывается цветами эта северная красавица в конце мая – начале весны в зависимости от климатических и погодных условий. Цветение в среднем длится около 2 недель. Впервые эта лиана зацветает на третий год жизни.
Размножать жимолость этого вида проще простого: из семян стабильно всходит почти половина, а зеленые летние черенки укореняются в 100% случаях. Кроме того, татарская жимолость совсем не боится пересадок. С уходом за этим растением справится даже неопытный цветовод.
Клематис
Клематисы (или ломоносы) – одни из самых распространенных декоративных вьющихся кустарников. Многие виды клематисов способны зимовать даже при температурах ниже –25°C, потому как нельзя лучше подходят для выращивания в средней полосе.
Эти лианы не только красивы, но и очень ароматны. Цветки на них распускаются всевозможных оттенков: от белоснежного до насыщенных фиолетового и синего. Притом, "живет" один цветок несколько недель. Если грамотно подобрать сорта клематисов, цветущих в разное время, это вьющееся растение будет непрерывно украшать ваш сад с поздней весны до ранней осени.
| Длина лозы (м) | Сроки цветения | Тип почвы | Особенности |
| 1-1,2 | Май-сентябрь (в зависимости от вида и сорта) | Песчаная, супесчаная, суглинистая, известняковая | Сроки обрезки варьируются в зависимости от времени цветения и того, на каких побегах образуются цветки |
Чина широколистная
Чина широколистная – представитель семейства Бобовые. Ее иногда путают с душистым горошком, хотя сама она не может похвастаться сильным ароматом. Впрочем, чину также называют широколистным горошком.
Это травянистое растение может достигать 4 м в длину, цепляясь за поверхность при помощи усиков. Чина отлично размножается семенами, выдерживает морозы до –29°C, любит хорошее освещение. Цветовая гамма крупных, эффектных цветков чины – белая, розовая, красно-фиолетовая.
Гортензия черешковая
Черешковую(или гортензию лазящая) можно растить и как вертикально ползущую лиану, и как почвопокровное растение. В первом случае каждую весну проводится тщательная санитарная и формирующая обрезка кустарника: удаляются все больные, поврежденные, подмерзшие побеги, а также частично боковые побеги, чтобы стимулировать ветвление. Второму виду гортензии обрезка не требуется.
Эта лиана может переживать зимы, когда температура опускается до –28°C, но в средней полосе ее желательно аккуратно снимать с опоры и укрывать. Цветет только на хорошо освещенных участках.
Калистегия
Калистегия (или повой) – вьющееся растение, которое насчитывает более 5 видов. Садоводы чаще всего выращивают на своих участках калистегию волосистую и пушистую (махровую). Калистегия заборная, также известная как "березка", несмотря на красивые бело-розовые цветы, считается злостным сорняком и с трудом выводится с участка.
Калистегия непритязательна в уходе, но любит хорошо дренированные плодородные почвы. У этого растения глубокая корневая система, благодаря чему молодые побеги могут появляться далеко от места посадки.
Плетистая роза
Плетистые розы – настоящие царицы летнего сада. Они вполне могут претендовать на звание самого красивого и ароматного вьющегося кустарника.
Как правило, плетистые розы достаточно устойчивы к различным заболеваниям. Конечно, как и другие виды роз, для пышного цветения им потребуются регулярные подкормки, грамотная обрезка и зимнее укрытие на случай суровых морозов.
Плетистые розы предпочитают хорошее солнечное освещение, но могут хорошо себя чувствовать и в полутени.
О красивых и неприхотливых лианах для тенистых садов читайте в нашей следующей статье.
Красивоцветущие лианы. 10 цветущих лиан для сада
Существует множество приспособлений, способных подчеркнуть декоративность вьющихся растений. Оплетенная цветущими плетями арка в начале сада воспринимается, как вход в рай. Увитые густой листвой и ароматными цветками беседки и шпалеры выглядят загадочно и очень красиво.
Превратить сад в место, где хочется уединиться, помогут установленные на участке шпалеры, перголы, декоративные решетки: цепкие лианы, взбирающиеся по садовым конструкциям, могут придать запущенным участкам сада уютный и вместе с тем таинственный вид, а их густая листва укроет вас от любопытных взглядов.
Мы предлагаем вам знакомство с десятью, которые сделают ваш сад похожим на оазис в пустыне.
Плетистые розы
Одним из самых популярных вьющихся растений является, неизменно вызывающая восхищение у окружающих. Если вы планируете устанавливать арку с розой у входа в сад, то лучше выбрать растение без шипов, например, Zepherine Drouhin – сорт с нежными махровыми цветками и сладковатым ароматом. Бесшипная роза не оцарапает и не испортит одежду ваших гостей.

Клематис
Клематис является отличным выбором для устройства садовой арки. Он своими гибкими стеблями легко обовьет конструкцию и создаст подобие декоративной ширмы, украшенной крупными цветками. Одним из лучших сортов растения является Балерина: этот клематис получил свое название в честь гениальной Майи Плисецкой. Длина его побегов достигает 3 м, на них раскрываются белые цветки с бледным желто-зеленым оттенком и вишневыми пыльниками. Цветение Балерины продолжается с мая по сентябрь.
Жасмин (чубушник)
У жасмина тонкие, податливые стебли, которые позволяют растению легко взбираться по опоре. По этой причинечасто используют для украшения садовой арки или шпалеры. Существует много культиваров садового жасмина, поэтому найти сорт для любого участка сада проблемы не составит.
Жимолость
Фантастический способ сделать садовую арку не только декоративным сооружением, но и опорой для плодового лекарственного растения – это. Для вертикального озеленения особенно хорош сорт Каприфоль, представленный серией с красными, белыми и желтыми цветками. А такие сорта жимолости, как Татарская и Серотина, являются прекрасными медоносами и привлекут на ваш участок пчел для опыления плодовых растений.
Глициния
Глициния – идеальная древовидная лиана для арки, которая украсит ваш сад водопадом цветков фиолетовой, красной, синей и белой окраски. Сажают эту лиану в той части сада, где глициния сможет получить максимум солнечного света. Вес лозы достигает 30 и более килограммов, поэтому растению потребуется надежная опора.

Душистый горошек
Это вьющееся растение с нежными цветками тронет вашу душу не только своей беззащитной красотой, но и чудесным ароматом. Душистый горошек очень быстро растет, но требует своевременного удаления увядших цветков и семенных коробочек: такой уход обеспечит формирование новых бутонов и продолжительное цветение до самого начала осени. Незатейливая красота ипозволяют использовать его и для составления букетов.
Ипомея
Цветки ипомеи распускаются рано утром, образуя ковер из синих, красных, белых или желтых граммофончиков. Цветущие плети с сердцевидными листьями достигают в длину 3 м.не доставляет особых хлопот. Расти эта лиана может и в сухой почве, но требует много прямого солнечного света.
Кампсис
Летом капмсис густо покрывают довольно крупные оранжевые или красные цветки с длинной трубкой., поэтому идеально подходит для выращивания на арках, перголах и шпалерах. Эта древовидная лиана достигает в высоту 10-15 м, но для обильного и продолжительного цветения ей нужен яркий солнечный свет: даже легкая тень способна негативно повлиять на декоративность растения.
Девичий виноград
Эта быстрорастущая лиана, плети которой достигают в длину 30 м, своими ажурными резными листьями создает непроницаемый занавес, которым можно камуфлировать неприглядные хозяйственные постройки или облупленные стены. Осенью листва меняет свой густой зеленый цвет на багряный с фиолетовым оттенком. Добавляют декоративностии черные ягоды с голубовато-сизым налетом, которые зимой с удовольствием склевывают птицы.

Лимонник китайский
Лимонник – листопадная лиана длиной 10-15 м. Гибкие тонкие побеги с нежным лимонным запахом обвивают опору по часовой стрелке. В первой половине июля на лимоннике раскрываются белоснежные цветки. Плоды лимонника – яркие красные ягоды, собранные по 15-20 штук в живописные грозди. Ягоды лимонника востребованы не только в медицине, но и в кулинарии.
Цветущие лианы представлены в садоводстве многообразием великолепных ароматов, окрасок и расцветок. За свет изменения цвета листвы, они живописны не только летом, но и осенью. Эти растения дают необходимые в летнюю жару тень и прохладу, они подчеркивают форму арки или перголы, в то же время смягчая их жесткость. Конструкции с лианами услаждают взор и создают ощущение уюта и защищенности, поэтому роль вьющихся растений в ландшафтном дизайне трудно переоценить.

Быстрорастущие лианы для беседки. Девичий виноград
Этот вьющийся многолетник обладает высокими декоративными качествами. Его листья в летний сезон окрашены в привычный зеленый цвет, но с приходом осени их цвет становится ярко-красным, что позволяет привнести краски в уже потухший сад. Длина побегов девичьего винограда достигает 20 м. Растение способно ползти вверх по опоре или грациозно свисать сверху вниз. Вьющийся многолетник своими крупными листьями плотно покрывает поверхность беседки, защищая внутреннее пространство от сквозняков и летнего зноя.
Девичий виноград пользуется особой популярностью у садоводов России. Это объясняется, прежде всего, высокой устойчивостью к вымерзанию. Помимо этого, вьющийся многолетник очень неприхотлив к условиям выращивания. Ему достаточно небольшого клочка земли для наращивания обильной зеленой массы. В период выращивания растение не требует регулярных подкормок, достаточно внести удобрение в лунку при его посадке.
При помощи этого многолетника легко и просто декорировать беседку своими руками. Для этого необходимо высадить растения по периметру строения. Многолетник быстрорастущий, его лианы за год вырастают в среднем на 3 метра, а, значит, уже через 2 года после посадки можно рассчитывать на то, что вся поверхность беседки будет плотно увита красивой листвой.
Важно! Девичий виноград каждый сезон цветет небольшими цветочками, которые со временем превращаются в ядовитые ягоды.
При съедании таких плодов слизистые ткани человека получают ожог.
Лучшие однолетники. Лучшие однолетние цветы — неприхотливо односезонные цветы украшают ваш сад весь теплый сезон
Садовый участок без однолетних цветов? Согласитесь, такого просто не может быть! Ведь летники в некоторых случаях совершенно незаменимы:
- если нужна клумба на новом, ещё не освоенном участке
- требуется занять грядку, освободившуюся в середине лета от луковичных
- помёрзли или выпрели кусты многолетников, и в цветнике образовалась неприглядная «дыра»
- не вырастили или не купили рассаду и приходится сеять семенами сразу в открытый грунт
- срочно хочется отгородиться от соседей, а забора нет
- для патио, террасы как контейнерное растение
На российском рынке бензопильной техники брендовая продукция Штиль представлена лучшими, новыми и проверенными временем разработками бытового и профессионального назначения. В прилагаемом обзоре приведены технические и рабочие характеристики бензопилы Stihlиз категории товаров повышенного спроса.

Наконец, какие ещё существуют цветы, неприхотливые и радующие глаз яркими красками, и цветущие всё лето вплоть до первых заморозков!

Самые-самые
При сегодняшнем огромном многообразии видов и сортов, для дачи «выходного дня», к сожалению, подходят далеко не все однолетние цветы.

Некоторые требовательны к уходу, у других очень длинный вегетационный период, третьи теряют декоративность в ветреную и дождливую погоду, четвёртые слишком теплолюбивы для выращивания в средней полосе.

Но есть сравнительно много однолетних цветов, которые лишены всех вышеперечисленных недостатков, их названия и краткое описание можно прочесть ниже.

Бархатцы или тагетес
Цветок на все времена: был, есть и будет. Даже если вы никогда не любили бархатцы, теперь вы их оцените по достоинству. Из трёх существующих видов (отклонённые, прямостоячие, тонколистные) самыми неприхотливыми являются отклонённые.
Их можно выращивать прямым посевом семян в грунт: они прекрасно успеют вырасти и зацвести. Обратите внимание на новый сорт Файрбол.

Прямостоячие лучше удаются при рассадном способе выращивания. Высокорослые сорта великолепны для срезки, низкорослые — для создания бордюров и для контейнерного выращивания (идеальны гибридные Антигуа и Тайшан).

А если вам захотелось иметь однолетние цветы «как на картинке», фото которых вы видели в западном садовом журнале, то это, безусловно, именно бархатцы тонколистные!

Только они способны образовать куст идеальной формы шара, весь усыпанный цветами. Эти бархатцы, правда, лучше высаживать не на проходе, где их будут постоянно задевать: у них очень ломкие стебли.

Уникальный и универсальный цветок! Разве можно поверить, что современная роскошная петуния – близкая родственница картошки и помидор?
У растения довольно сложная и запутанная классификация, огромное разнообразие сортов, форм и расцветок. Поэтому просто невозможно не найти сорт, который удовлетворит все ваши требования!
Растение на самое простое в рассаде, ведь семена петунии очень мелкие, а крошечные сеянцы сильно страдают от чёрной ножки. Впрочем, если пугают сложности или нет времени выращивать собственную рассаду, всегда можно купить готовую. Любая петуния будет цвести до заморозков.

Цинния
Мощное и сильное растение с яркими соцветиями-корзинками. Солнце, тепло и питательная почва – всё, что ей требуется для хорошего роста. В благодарность за заботу вы будете обеспечены шикарными букетами до самой осени. Легко завязывает семена.

Самостоятельное выращивание рассады доступно даже новичкам: семена крупные, всходят через 4-5 дней, сеянцы растут быстро.

Единственное условие: не высаживать рассаду в открытый грунт, пока не установится стабильно тёплая погода — цинния не капризна, но очень теплолюбива.
Космея-красотка
Цветок из детства. Помните разноцветные «ромашки» с ажурной листвой, выглядывавшие из каждого палисадника? Это космос дважды перистый – неприхотливый, холодостойкий, достаточно засухоустойчивый однолетник.

Прелесть его в том, что нет необходимости выращивать рассаду, можно сеять сразу на постоянное место.